-
Detenida tras hallarse cuerpo de niña en maletero de auto
HALL COUNTY, Georgia. — Una escena estremecedora conmocionó a la comunidad de Oakwood el domingo por la tarde, luego de ... -
ÁRBOL GIGANTE DEJA SIN LUZ A CIENTOS EN BUCKHEAD
Un fuerte aguacero acompañado de ráfagas de viento provocó la caída de un enorme árbol en el vecindario de Buckhead, ... -
Tragedia en el Caribe: el huracán ‘Melissa’ deja al menos 49 muertos y devastación a ...
El huracán ‘Melissa’ ha dejado un rastro de destrucción y dolor en el Caribe, donde al menos 49 personas han ... -
EE.UU. lanza ataque letal y mata a 14 narcoterroristas en el Pacífico oriental: promete “cazar ...
Un sobreviviente fue entregado a México tras una serie de operaciones militares contra embarcaciones designadas como terroristas. La Casa Blanca ... -
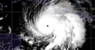
EE. UU. declara al huracán ‘Melissa’ como “extremadamente peligroso” mientras Jamaica se prepara para su ...
El huracán ‘Melissa’ continúa su avance este martes hacia Jamaica, intensificándose rápidamente y alcanzando la categoría de “extremadamente peligroso”, según ... -
Incendio en negocio abandonado de Lawrenceville moviliza a bomberos durante la noche
Un incendio registrado la noche del martes en un local comercial abandonado de Lawrenceville, en el condado de Gwinnett, movilizó ... -
Policía del condado de Gwinnett alerta sobre estafas de transporte fantasma que se propagan en ...
GWINNETT COUNTY, Ga. – El Departamento de Policía del Condado de Gwinnett advirtió a la comunidad sobre un aumento de ... -
Oficiales de Alpharetta y Roswell logran reunir a un niño de 4 años con su ...
ALPHARETTA, Ga. – Una historia con final feliz se vivió la noche del jueves en Alpharetta, cuando oficiales del Departamento ... -
Policía de DeKalb solicita ayuda del público tras grave accidente con fuga en la I-20
El Departamento de Policía del Condado de DeKalb (DKPD) pidió la colaboración del público para identificar al conductor y al ... -
EE. UU. atacó a otra lancha narco en el Caribe y abatió a seis traficantes: ...
Fuerzas estadounidenses atacaron durante la noche una narcolancha en aguas del Caribe, con un balance de seis muertos, anunció este ...









