EE. UU. declara al huracán ‘Melissa’ como “extremadamente peligroso” mientras Jamaica se prepara para su impacto devastador

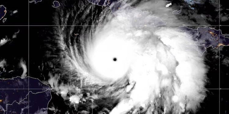
El huracán ‘Melissa’ continúa su avance este martes hacia Jamaica, intensificándose rápidamente y alcanzando la categoría de “extremadamente peligroso”, según el más reciente informe del Centro Nacional de Huracanes de Estados Unidos (CNH). Con vientos sostenidos de hasta 290 kilómetros por hora, el ciclón amenaza con provocar graves daños estructurales, derrumbes e inundaciones en amplias zonas del país caribeño.
El ojo del huracán se encuentra a unos 80 kilómetros de Negril, en la costa occidental de Jamaica, y se espera que toque tierra en las próximas horas. Las autoridades locales han pedido a la población refugiarse de inmediato y evitar salir de sus viviendas hasta que finalice el paso del fenómeno. “¡Adoptad medidas ya para conservar la vida!”, urgió el CNH en su comunicado más reciente.
Hasta el momento, las autoridades jamaicanas han confirmado al menos tres fallecidos a causa de la caída de árboles provocada por los fuertes vientos. Las ráfagas podrían aumentar hasta un 30 % en zonas elevadas, lo que incrementa el riesgo de deslizamientos e inundaciones repentinas.
El huracán también mantiene bajo vigilancia a Cuba, donde el presidente Miguel Díaz-Canel encabezó una reunión del Consejo de Defensa Nacional para coordinar acciones preventivas ante la cercanía del ciclón. El fenómeno se encuentra a 420 kilómetros de Guantánamo y podría impactar la región oriental de la isla en las próximas 24 horas.
Los expertos advierten que ‘Melissa’ podría convertirse en uno de los huracanes más destructivos de la temporada, mientras EE. UU. sigue de cerca su trayectoria ante el riesgo de que afecte otras zonas del Caribe y el sureste estadounidense.






