Huracán Melissa alcanza categoría 5 y amenaza con inundaciones catastróficas en Jamaica y el Caribe

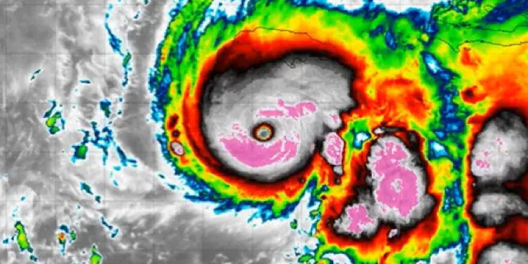
El huracán Melissa se intensificó este lunes hasta alcanzar la categoría 5, el nivel más alto en la escala Saffir-Simpson, mientras avanza lentamente hacia Jamaica y otras regiones del Caribe, dejando ya un saldo de al menos cuatro víctimas mortales en Haití y la República Dominicana.
El Centro Nacional de Huracanes de Estados Unidos (NHC) informó que Melissa registra vientos máximos sostenidos de 260 kilómetros por hora (160 millas) y se desplaza a apenas 5 kilómetros por hora (3 millas), lo que incrementa el riesgo de inundaciones prolongadas y deslizamientos de tierra.
Las autoridades locales han emitido alertas de emergencia y exhortan a la población a buscar refugio inmediato ante la inminencia del impacto del fenómeno. Se prevé que las lluvias acumuladas alcancen hasta un metro (40 pulgadas) en algunos sectores de Jamaica, lo que podría generar inundaciones catastróficas.
“El movimiento tan lento de Melissa provocará un evento de lluvias extremas sin precedentes. Jamaica enfrentará un riesgo de desastre climático en las próximas horas”, advirtió Jamie Rhome, subdirector del NHC, durante una sesión informativa transmitida en vivo.
En Haití y la República Dominicana, las bandas exteriores del ciclón ya ocasionaron derrumbes, cortes de energía y daños a viviendas, mientras los equipos de rescate intentan llegar a comunidades aisladas por el desborde de ríos.
Las autoridades de Jamaica han suspendido clases, cerrado puertos y cancelado vuelos, mientras se refuerzan los albergues en todo el país. Meteorólogos advirtieron que las condiciones “se deteriorarán rápidamente durante la noche” y que el peligro podría extenderse por varios días, debido al lento desplazamiento del poderoso huracán.






